Phone:
+30 26340 25478
Email:
info@enafpaktos.gr
Toggle Navigation
Homepage
Learn about Us
Submit your property
Contact
Return to Listings
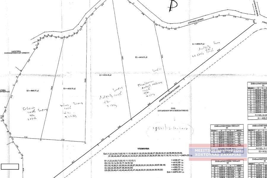
Agricultural Land Plot - For Sale - NAFPAKTOS, ETOLOAKARNANIA
Agricultural Land Plot - ETOLOAKARNANIA / NAFPAKTOS / G ERGATIKES KATIKIES
Front View
Front View
Front View
Property Details
Propety ID:
1286
State:
ETOLOAKARNANIA
Area:
NAFPAKTOS
Suburb:
G ERGATIKES KATIKIES
Status:
For Sale
Type:
Agricultural Land Plot
Size:
7854 sq/m
Price:
€ 95,000
Property Characteristics
Various Characteristics
Near Public Transport